Pasar al contenido principal

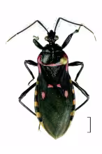
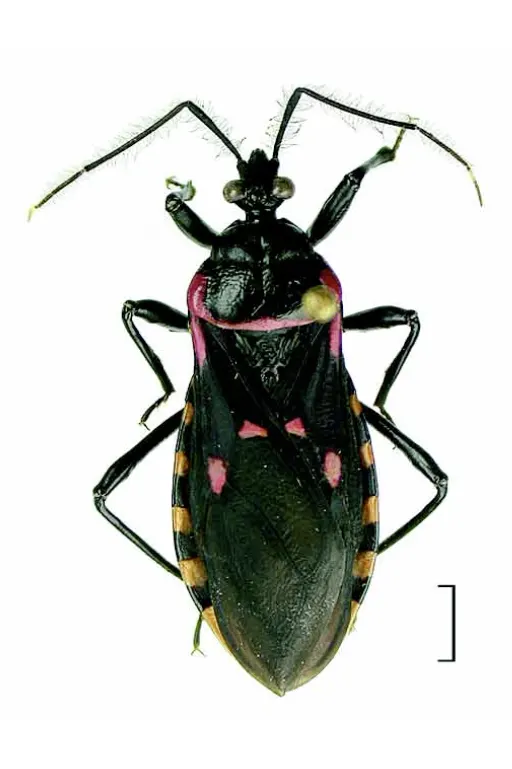
Brontostoma notatum

(Stål, 1859)


Referencias Bibliográficas

Cazorla-Perfetti, D; Alarcón, M 2023. Reduviidae (Hemiptera: Heteroptera: Cimicomorpha) no Triatominae de Venezuela REVISTA NICARAGUENSE DE ENTOMOLOGIA 300 3-187 -

Curador responsable